Very often, people who don't seem to fit in what is considered 'normal' by the society get judged and are made fun of by...
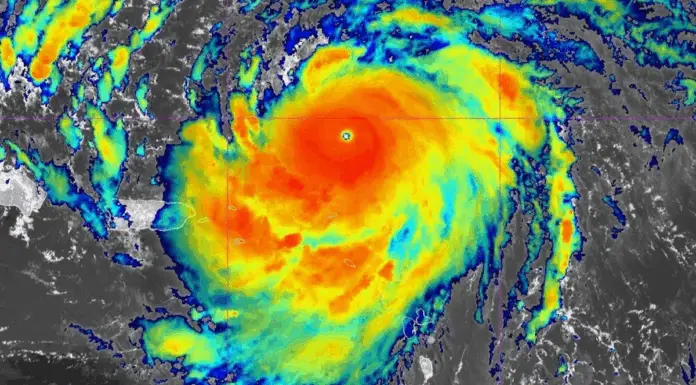
With Hurricane Erin heading towards the mainland, millions of Americans across seven states are being urged to prepare for the threat.
According to meteorologists,...
Plane graveling from Corfu, Greece to Düsseldorf, Germany, was forced to make a an emergency landing in Brindisi, Italy, after passengers noticed flames coming from...
When it comes to eggs, it's safe to say they are one of the foods surrounded by much controversy. The reason is that, over...
Dementia can be caused by a number of factors. According to Dementia UK, those factors include genetics, age, brain changes, the person's lifestyle, as...
Stephen King, the iconic author behind countless horror classics, has taken another shot at Donald Trump, this time, questioning his literacy skills. Currently working...




















