Mother-in-law tried to ruin our family dinner with a lie
The moment I first laid eyes on Alex Rodriguez was the moment I knew my soulmate entered into my life. he was the most...
Can you recognize her? Health issues caused significant changes to her...
Brandi Glanville, the star of The Real Housewives of Beverly Hills, has been experiencing health issues for quite some time now. From the moment...
3 colors you should never wear to a funeral
A funeral is a time to pay tribute to someone's life and provide comfort to the grieving family and friends.
During this occasion, the...
Carville doubts Harris can mount a 2028 bid following presidential defeat
James Carville, a veteran Democratic strategist and architect behind Bill Clinton's 1992 presidential victory, delivered a blunt message that has stirred conversation within the...
Everyone laughed at her after someone snapped a photo of her...
Very often, people who don't seem to fit in what is considered 'normal' by the society get judged and are made fun of by...
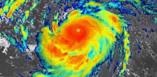
Hurricane Erin tracker reveals seven states most at risk as experts...
With Hurricane Erin heading towards the mainland, millions of Americans across seven states are being urged to prepare for the threat.
According to meteorologists,...
Shocking footage captures flames bursting from a plane’s engines as terrified...
Plane graveling from Corfu, Greece to Düsseldorf, Germany, was forced to make a an emergency landing in Brindisi, Italy, after passengers noticed flames coming from...
The surprising truth about eating eggs every day
When it comes to eggs, it's safe to say they are one of the foods surrounded by much controversy. The reason is that, over...






















