Carville doubts Harris can mount a 2028 bid following presidential defeat
James Carville, a veteran Democratic strategist and architect behind Bill Clinton's 1992 presidential victory, delivered a blunt message that has stirred conversation within the...
Everyone laughed at her after someone snapped a photo of her fall at the...
Very often, people who don't seem to fit in what is considered 'normal' by the society get judged and are made fun of by...
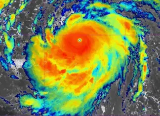
Hurricane Erin tracker reveals seven states most at risk as experts issue deadly warning
With Hurricane Erin heading towards the mainland, millions of Americans across seven states are being urged to prepare for the threat.
According to meteorologists,...
Shocking footage captures flames bursting from a plane’s engines as terrified passengers describe sending...
Plane graveling from Corfu, Greece to Düsseldorf, Germany, was forced to make a an emergency landing in Brindisi, Italy, after passengers noticed flames coming from...
The surprising truth about eating eggs every day
When it comes to eggs, it's safe to say they are one of the foods surrounded by much controversy. The reason is that, over...
Stephen King delivers sharp critique of Trump and his erratic social media posts
Stephen King, the iconic author behind countless horror classics, has taken another shot at Donald Trump, this time, questioning his literacy skills. Currently working...



















